売買物件
片山町4丁目-売り土地-
物件No:5832
| 価格 | 4,380万円 |
|---|---|
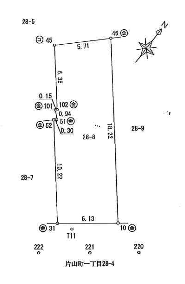
| 土地面積 | 106.40㎡(32.18坪) |
| 物件所在地 | 吹田市片山町4丁目15番17号 |
| 最寄駅 | JR京都線 吹田駅 徒歩8分 阪急千里線 吹田駅 徒歩16分 |
| 担当者のコメント | 大阪府道14号線(産業道路)沿いに面した間口6.13mの売地です。 吹田市の幹線道路に面しているので事業用としても、また、奥行き(18.22m)が広いので、住宅用としても利用価値は高い物件です!! ぜひ、お問合せ下さい。 |
|---|
物件詳細情報
| 建物 | 構造・規模 |  - | |
|---|---|---|---|
| 面積 |  - | ||
| 間取内訳 |  - | ||
| 土地権利 |  - | 地目 |  - |
| 都市計画 | 市街化地域 | 用途地域 | 近隣商業地域 |
| 建ぺい率 | 80% | 容積率 | 400% |
| その他の法令上の制限 | 防火地域 第4種高度地域(25m) | ||
| 築年月 |  - | 駐車場 |  - |
| 現況 | 更地 | 引渡日 | 随時 |
| 建築確認番号 |  - | ||
| 接道状況 (角地・間口) |
一方 南東側公道 幅員約18mに約6.13m接面 |
||
| 設備 | 公営水道、都市ガス | ||
| 備考 | 地勢:平坦 建築条件なし・国土法届不要 |
||
周辺地図
ACCESS
&
LOCATION
株式会社 トリム
大阪府吹田市金田町5番47号
月曜日~金曜日:9:30~19:00
土曜日:9:30~18:00
日曜日・祝日: 定休日
